Human Ring
2025年 6月6日 天候
一時 
午前中 鳩間小中学校の生徒さんと教職員さんと『 鳩間島 サンゴ礁体験学習 』
バラス島にて 現在鳩間小中学校の生徒数は 小学生が3名 中学生が3名です
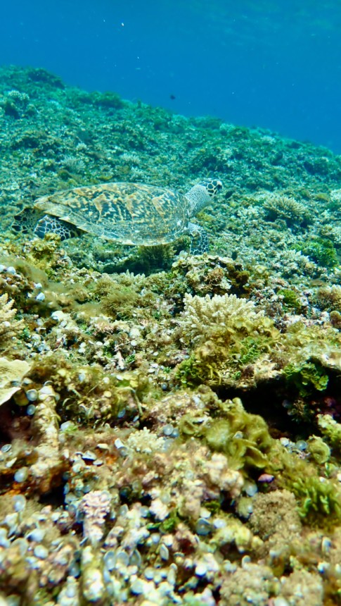
Turtle Point みんなで海カメさん( タイマイ )を見れました
ゴマモンガラも
波風なく 海のコンディション → ◎
手を繋いでリングを作る 海中から撮影 By Mabel チームワーク Very Good 
サンゴ礁シュノーケリング
透明度はまずまず → ◯
素潜りで動画撮影 Madoka さん
サンゴ礁体験学習は 鳩間島で仕事をさせてもらっているので 地域貢献を兼ねて10数年前から毎年実施させていただいています
ランチの後 2回転 午後も『 鳩間島 シュノーケリングツアー 』
海はベタ凪になった
アウトリーフの深い地形のポイント
ポイント移動 デバスズメダイの群れ
カラフルな枝珊瑚
風は止まり ベタベタ凪で泳ぎやすい
のんびりと3箇所回って鳩間港に戻ったのはPM 4:00 過ぎでした
買い物をしたAEONの食材を八重山観光フェリー到着時に取りに行くのが遅れた・・






















パジェロミニ SNOOPY
2026年 新年
Melusine 船体の補修
パジェロミニ FR